Silwood Park at 75

Dive into the past, present and future of Imperial's unique rural campus.

Illustrations of fish, frogs, snakes and other sea creature and plants collaged over a bright blue background
Full colour photo of the Silwood Park campus lake, taken in July 2020
Black and white photo of Silwood's lake, from the archive
Black and white photo of Silwood Parasitology building from the archive. Copyright Jack Wilson of Jatony Studios

Silwood Parasitology building from the archive. Copyright Jack Wilson of Jatony Studios.

Silwood Parasitology building from the archive. Copyright Jack Wilson of Jatony Studios.

Silwood Japanese gardens 1966. Copyright Jack Wilson.

Silwood Japanese gardens 1966. Copyright Jack Wilson.

Silwood Japanese gardens 1966. Copyright Jack Wilson.

A view to the Munro Building on the Silwood Park Campus, taken in 2017 - black and white version
A view to the Munro Building on the Silwood Park Campus, taken in 2017 - full colour version

This year Imperial celebrates Silwood!

It’s 2022, and our Silwood Park campus is celebrating its Diamond anniversary. Silwood has been a hub of world-leading research and teaching in ecology, evolution and conservation for 75 years. Join us as we delve into its past, present and future...

Exploring the archives

Our journey begins as we dig into the archives to explore the Silwood story so far.

Picture shows a drawing of the map of Silwood Park, Sunninghill, where Imperial's Field Station was based when it was acquired by the College in 1947

The early years

Imperial acquired Silwood Park in 1947, as a field station to provide a site for research and teaching in aspects of biology that were unsuitable for the main London campus.

Silwood's Manor House, photographed in 2005

Silwood's Manor House, photographed in 2005

Silwood's Manor House, photographed in 2005

The Manor House is the original Silwood Park house, built in 1878. It was designed by Alfred Waterhouse, who was also the architect behind London's Natural History Museum.

The following documentary, filmed in 1982, provides a window into Silwood's past and a potted history of its early years.

Key research moments

Why has the research at Silwood Park, and its community of scientists, had such impact in the fields of ecology, evolution and conservation over the years? Let's look back at some key research moments...

1947-1980: Ecological entomology

From the beginning, Silwood was a centre of excellence in natural history. Professor Owain Richards was an expert on social insects, Professor Bill Hamilton on flightless insects, and Professor Sir Dick Southwood was the authority on Heteroptera (true bugs). More recently, Professor Charles Godfray is renowned for his work on aphids, microlepidoptera and their parasitoids, while Dr Jeff Bates wrote the Berkshire flora of mosses and liverworts.

Photos of books, from left to right: Ecological Methods with Particular Reference to the Study of Insect Populations by T.R.E. Southwood; The Social Insects by O.W. Richards; Imms' General Textbook of Entomology - Tenth Edition; Land and Water Bugs of the British Isles by Southwood and Leston

In entomological education, the Silwood staff were known throughout the English-speaking world for their text books: Professors Owain Richards and Richard Gareth Davies kept Imms’ famous text alive through its modern editions and Dick Southwood wrote the influential Ecological Methods.

1964: Altruism

William D. Hamilton, prior to joining Silwood Park as a lecturer, solved a great mystery of evolutionary biology: why organisms sometimes sacrifice themselves for the good of others. Hamilton developed a new way of measuring fitness that takes into account the fact that we share our genes with our relatives. This explains many aspects of social behaviour, including why worker bees may sacrifice themselves and why they ‘seemingly’ work for the good of the colony. You can find out more about his work in The genetical evolution of social behaviour Part I and Part II, which Hamilton published in 1964.

The mid-1960s also saw some of Silwood's long-term experiments set up, some of which have lasted into the twenty-first century.

Photograph of worker bees on honeycomb, with their queen

Worker bees with queen. Image credit: Todd Huffman

Worker bees with queen. Image credit: Todd Huffman

Late 1960s and 1970s: economic entomology

Early research at Silwood Park was about controlling insect and nematode pests. The economic entomologist, Professor Sir Dick Southwood, became Director of Silwood Park in 1967, at the same time as he succeeded Professor Owain Richards as Head of what was then Imperial’s Department of Zoology and Applied Entomology.

Southwood married sophisticated ecological theory to problems of pest control, thereby shaping its future.

Late 1980s and early 1990s: chaos in ecology

Lord Robert May, Professor Michael Hassell and colleagues developed a theory showing that species abundances often do not fluctuate in a regular way, or even a random way, but chaotically. Just as it is hard to predict the weather in the long term, it can be hard to predict the fates of species.

A researcher photographer in the early 1990s at the ECOTRON at Silwood Park

ECOTRON at Silwood Park

ECOTRON at Silwood Park

1993: The Ecotron

Professor Sir John Lawton established the Ecotron — a facility for containing experimental ecosystems — at the Centre for Population Biology. Using the Ecotron, Professor Shahid Naeem and colleagues experimentally showed that the number of species in an ecosystem can have profound effects on how it works.

Current research

Three Barnacle Geese photographed in flight in a bright blue sky, with wings outstretched

Ecology in the digital domain

Current Silwood research not only spans onsite field and lab work, and international expeditions, but also the exploration of life in digital domains, including the visualisation of key ecological data.

Big data

Until very recently, resources documenting data on birds remained fragmented, revealing little insightful information about their evolution and behaviour. Hawks and ducks, for example, have got similar body masses, but this data alone says very little about their roles in the ecosystem.

In February 2022, however, Dr Joseph Tobias and his team, published a more refined global database of bird “traits”, called AVONET, containing measurements of more than 90,000 individual birds.

Detailed drawings showing the kind of data that's included in the AVONET database, such as wing span

The database contains measurements of nine body features, or traits

The database contains measurements of nine body features, or traits

AVONET data can help us to understand and predict how ecosystems respond to environmental change and test ‘rules’ in evolution. It can also provide insight into a range of topics, such as the sensitivity of different species to habitat loss, or their ability to shift their range to track suitable living conditions under future changing climates.

A student holds a bird in her hands and gently examines its wing

A second-year ecology student takes part in a field class

A second-year ecology student takes part in a field class

Chestnut-mandibled toucan. Credit: Paul S. Wolf/Shutterstock

Chestnut-mandibled toucan. Credit: Paul S. Wolf/Shutterstock

Chestnut-mandibled toucan. Credit: Paul S. Wolf/Shutterstock

The Inaccessible Island Rail has small, flightless wings

The Inaccessible Island Rail has small, flightless wings

The Inaccessible Island Rail has small, flightless wings

Tree of life

OneZoom is an interactive tree of life, mapping the connections between 2.2 million living species, and providing the closest thing yet to a single view of all species known to science. Developed by Dr James Rosindell (Imperial) and Dr Yan Wong (University of Oxford), it's freely downloadable and user-friendly for both researchers and non-scientists.

Users are able to zoom into any species to examine its relationships with others, and explore images of over 85,000 species, plus, where known, their vulnerability to extinction. Each leaf can also be sponsored, funding a OneZoom charity, which shares information about evolution, biodiversity and conservation to broad audiences.

The OneZoom project is an example of Silwood's research across the phenomenal and complex world of biodiversity and its criticality for all life on Earth, linking with international efforts to protect endangered species including IUCN's Red List of Threatened Species - a list pioneered by Imperial ecologist Professor Georgina Mace.

The biodiversity crisis facing humanity is urgent, and moments of excitement – like the sighting back in October 2021 of an incredibly rare Shelley’s Eagle Owl – bring not only a sense of awe in the natural world, but also relief and hope. The Shelley's owl is officially classified as vulnerable to extinction; only a few thousand are thought to be left, and prior to 2021 one hadn't been spotted for 150 years.

Shelley’s Eagle Owl. Credit: Dr Robert Williams

Shelley’s Eagle Owl. Credit: Dr Robert Williams

Shelley’s Eagle Owl. Credit: Dr Robert Williams

Even among the vast number of species described by science, only a tiny fraction have been studied or have a known risk of extinction, so there’s much more work to be done. 

Illustrations of mushrooms, bees, flowers, spiders and other flora and fauna

Gaming to tackle our ecosystem crises 

The EcoBuilder smartphone game provides another example of the ways in which our ecologists are using the digital domain to visualise and better understand life on Earth.

EcoBuilder, is a free, downloadable game, in which players build their own ecosystem of plants and animals, decide who eats who, and solve ecological puzzles. Depending on their decisions species will either survive or go extinct. 

Once players master the ‘Learning World’, which explores known information about animals and plants, they move on to the ‘Research World’, where they solve real-world ecological puzzles, providing a form of ‘citizen science’.  

“As well as crowdsourcing the intellectual power of the general public, the game has a powerful capacity for outreach and teaching purposes, as players learn how ecosystems function and why they may collapse from even small changes to their structure.” 
Dr Samraat Pawar, Department of Life Sciences at Silwood Park

Lab tour

Researcher working in a lab that's lit up completely in red

In the labs

Silwood is known as Imperial’s “outdoor laboratory”, but access to its rich landscape of flora and fauna is also complemented by world-class lab facilities.

This combination provides Silwood's scientists with a unique research environment.

Environmental Genomics

The Environmental Genomics laboratory uses state-of-the-art equipment to help researchers sequence DNA.

Photo of the elusive hazel dormouse clinging to a branch

The elusive hazel dormouse

The elusive hazel dormouse

One innovative way this is being used is in studying environmental DNA or RNA – tiny traces of genetic material left behind in the environment by animals, plants or microbes. This can help assess ecosystems – or detect the presence of rare animals, like the elusive dormouse, or pathogens like the SARS-Cov-2 virus that causes COVID-19 – with just a small sample of water or soil.

Photograph of a glass vial containing Penicillin Notatum (Fleming strain)
Photo of Fleming’s penicillin-producing mould

Sometimes, the samples that make it into the lab come from fascinating sources. From historical specimens held at CABI, Silwood researchers have revived and studied the original penicillin-producing mould strain discovered by Imperial alumnus Alexander Fleming in 1928 (above), and also a 70-year-old coffee-killing fungus (below). Both of these studies reveal how each strain has changed over the decades. 

If we can understand how new types of diseases evolve, we can give growers the knowledge they need to reduce the risk of new diseases emerging.
Lily Peck, Science and Solutions for a Changing Planet Doctoral Training Partnership
Fungal spores. Credit: CABI

Coffee-killing fungal spores. Credit: CABI

Coffee-killing fungal spores. Credit: CABI

Community connections

Bacteria often live in large communities of hundreds or thousands of different species, competing or collaborating.

One study of puddles showed that bacteria evolve and adapt differently depending on the make-up of the community they live within, and the environmental stressors operating upon them, which can have knock-on effects for humans. 

Puddle at the base of a beech tree

Puddle at the base of a beech tree

Puddle at the base of a beech tree

Mapping coronavirus in sewage

During the pandemic, scientists assessed the potential for the COVID-19 virus to be transmitted via raw sewage by sampling the virus in nearby freshwater ecosystems. They also developed models to provide an early detection system for infection levels in different communities.

Photo of waste water draining from a pipe into a river
Researcher at work in Professor Vincent Savolainen's Silwood Genomics lab
Genome of Alexander Fleming’s original penicillin-producing mould sequenced
Birds-eye view of a sewerage plant. Photo by Ivan Bandura on Unsplash
A bee attached to a 'flight mill'

A bee attached to a 'flight mill'

A bee attached to a 'flight mill'

Micro-CT scan of a bee brain

Micro-CT scan of a bee brain

Micro-CT scan of a bee brain

Anopheles gambiae mosquito. Credit: Alekos Simoni

Anopheles gambiae mosquito. Credit: Alekos Simoni

Anopheles gambiae mosquito. Credit: Alekos Simoni

Exploring the world of insects

Some of Silwood's labs study insects. There are researchers investigating the threats bees face in the modern world with an array of ingenious technologies – from ‘flight mills’ to test how temperature and pesticide exposure affect bees’ ability to fly far and fast, to tiny QR codes and microchips that track foraging behaviour.

They have also been able to CT scan bees’ brains, seeing how even baby bees are impacted by pesticides.

Mosquito vector biology

Silwood researchers, in groups like Target Malaria and the Vector BEaT lab run by Dr Lauren Cator, for example, conduct studies into mosquito-transmitted pathogens like malaria – diseases that can have enormous and devastating impacts on human health. Learning more about mosquito biology, immunology and behaviour will help us to implement the innovative strategies and technologies at our fingertips in the fight against disease transmission.

Skull scanners

Another of Silwood's labs investigates skulls. Bat, bird, and alligator skulls have all been through scanners, like those used in MRI and CT scanning, to reveal how their unique features have evolved. One group of special bats, for example, have different faces depending on their diets, suggesting how diet-based faces evolved across all mammals.

Image taken of an alligator (Alligator mississippiensis) embryo dissected from an egg

An alligator (Alligator mississippiensis) embryo dissected from an egg, by Dr Arkhat Abzhanov

An alligator (Alligator mississippiensis) embryo dissected from an egg, by Dr Arkhat Abzhanov

Vampire bat. Credit: Uwe Schmidt/Wikimedia Commons

Vampire bat. Credit: Uwe Schmidt/Wikimedia Commons

Vampire bat. Credit: Uwe Schmidt/Wikimedia Commons

The skull of 'I'iwi, a Hawaiian honeycreeper that drinks nectar from flowers
Item 1 of 4
A student is photographed at work in a lab lit up in purple as part of an experiment. He is taking notes as he studies.

Second year student on the Ecology module, at work in the Gill lab as part of their Silwood Field Course.

Second year student on the Ecology module, at work in the Gill lab as part of their Silwood Field Course.

Photo of Professor Thomas Bell working in the lab

Professor Thomas Bell studies the ecology and evolution of microbial communities, which are among the most complex, diverse, and poorly understood groups of organisms. His research combines laboratory-based experiments with field-based manipulations of naturally-occurring communities.

Professor Thomas Bell studies the ecology and evolution of microbial communities, which are among the most complex, diverse, and poorly understood groups of organisms. His research combines laboratory-based experiments with field-based manipulations of naturally-occurring communities.

Dr Marie Russell is interested in how ecological factors influence the life history traits of mosquitoes, and how those traits might affect the potential of mosquitoes to transmit pathogens like malaria, photographed at work in Silwood's Cator Lab.

Dr Marie Russell is interested in how ecological factors influence the life history traits of mosquitoes, and how those traits might affect the potential of mosquitoes to transmit pathogens like malaria, photographed at work in Silwood's Cator Lab.

Dr Marie Russell is interested in how ecological factors influence the life history traits of mosquitoes, and how those traits might affect the potential of mosquitoes to transmit pathogens like malaria, photographed at work in Silwood's Cator Lab.

Photo of bees and honeycomb being studied in the lab

The Gill research group studies insect ecology and evolution, including how insect populations and communities respond to variable stressors such as human-induced land-use change, the growth of agricultural practices and climate change.

The Gill research group studies insect ecology and evolution, including how insect populations and communities respond to variable stressors such as human-induced land-use change, the growth of agricultural practices and climate change.

In the field

Photograph of a butterfly on a branch

Silwood's bluebells, photographed in 2014

Silwood's bluebells, photographed in 2014

Silwood's bluebells, photographed in 2014

Silwood Campus, September 2008

Silwood Campus, September 2008

Silwood Campus, September 2008

Blue tit photographed sitting on a branch

Blue tit

Blue tit

Long-term studies

Silwood is itself, of course, surrounded by nature, and some researchers take advantage of this. There are field experiments that have been running for many decades.

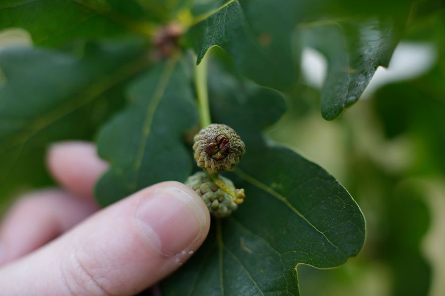
One has been studying English oaks since 1982, keeping record of the relationship between the number of acorns produced and the prevalence of growths, known as galls, created by wasps.

An ecologist studies the acorns and leaves of an oak tree

Other long-term surveys include the population dynamics of mice and voles, how European blue tit breeding is affected by climate change, and an assessing the effect of fertilizer nutrients, pesticides and herbivore removal on grasslands. 

The longest-running experiment, however, was set up in 1965 to answer the seemingly simple question: what happens when grass is allowed to grow without being grazed?

When rabbit populations become exceptionally high these herbivores can prevent grasslands becoming forest and shape the structure and species composition of grasslands vegetation. Silwood's enclosures, some of which also excluded deer from grazing, were maintained until 2009, though many have declined since.

In 2015 96 replicated ponds were laid out in a grid in one of Silwood's fields, seeded from the same pool of freshwater organisms. The only difference between the ponds was the temperature at which each was warmed: from 1 to 8°C above ambient water temperature.

The Imperial mesocosm experiment at Silwood Park, photographed from above

The mesocosm experiment at Silwood Park

The mesocosm experiment at Silwood Park

These ‘mesocosms’ formed part of a Europe-wide consortium, and were designed to help researchers understand how aquatic ecosystems may react to climate change.

Since the original experiment in 2015 the number of ponds has gradually risen to more than 300. Current experiments have shifted towards studying chemical-climate interactions.

A second year student is photographed studying a pond of water in Silwood's fields

Second year student studies one of the mesocosms at Silwood

Second year student studies one of the mesocosms at Silwood

In July 2022 Professor Mick Crawley presented a webinar for the Ecological Continuity Trust exploring Silwood's long-term field studies, and the science that has emerged from the Nash's Field and Pound Hill grassland experiments, which you can watch again below.

Photo looking into one of the mesocosms as a second year ecology student tries to study the wildlife in the water using a net
Sparrows photographed in the Silwood Park aviary
Sparrows photographed inside the aviary at Silwood Park
An ecologist works with the sparrows in the Silwood Park aviary

Dr Julia Schroeder inspects the aviary

Dr Julia Schroeder inspects the aviary

Feathered friends

A recent addition to its community of feathered friends is the aviary. Built in 2017, these host a population of house sparrows that have been tracked over generations to answer questions about the evolution of important social behaviours, including why older male sparrows father more offspring

In addition, the captive sparrow population has a contingent further afield – the research team, led by Dr Julia Schroeder, also has the entire sparrow population of the island of Lundy under observation, revealing more insights into the breeding behaviours of these birds.

Silwood is a national and global hub for many experiments and surveys that are repeated around the UK and the world.

Photograph of two birds copulating

Further afield

NOAA's GOES-East satellite captured this stunning view of the Americas on Earth Day, April 22, 2014 at 11:45 UTC/7:45 a.m. EDT. Image Credit: NASA/NOAA/GOES Project

Research on a global scale

Some of Silwood's scientists have travelled the world to try to understand the rules, and exceptions, that shape life on Earth.

The unexpected

The unexpected discovery of a 410-million-year-old fish fossil with a bony skull helped researchers working in Mongolia challenge conventional evolutionary beliefs, giving the clue that the lighter skeletons may have evolved from bony ancestors, rather than vice versa.

Restoring underwater meadows

Silwood academics are also partnering with the Ocean Conservation Trust (OCT) on the ambitious Blue Meadows Project, which aims to protect 700 hectares (10%) of the UK’s seagrass habitats and create a blueprint for restoration. This work will not only benefit underwater biodiversity, but also help us in the fight against the climate crisis by utilising seagrass for carbon sequestration (taking carbon out of the atmosphere and storing it).

Photo of the underwater seagrass meadow. Credit: K Hiscock

Photo of the underwater seagrass meadow. Credit: K Hiscock

Photo of the underwater seagrass meadow. Credit: K Hiscock

A deep sea diver explores the underwater seagrass meadow. Credit: K Hiscock

A deep sea diver explores the underwater seagrass meadow. Credit: K Hiscock

A deep sea diver explores the underwater seagrass meadow. Credit: K Hiscock

“There are currently many unknowns regarding the carbon benefits of UK seagrass meadows, as well as how to efficiently restore meadows at scale. We aim to help fill this knowledge gap.”
Dr Emma Ransome, Department of Life Sciences at Silwood Park
Sharks swimming in the sea - image taken from below looking up

Testing 'rules'

Fascinated by how evolution is shaped on islands, researchers conducted analysis to test the ‘island rule’ hypothesis, which proposes that small species like field mice become bigger if they evolve on an island, whilst larger animals such as hippos become shorter in comparison with their mainland counterparts. This has resulted in wonders such as the incredible Komodo dragon, dodo of Mauritius, and dwarf hippos and elephants that roamed Mediterranean islands around 10,000 years ago.

Photograph of a Komodo dragon

Komodo dragons grew large on several Indonesian islands

Komodo dragons grew large on several Indonesian islands

Photograph of models of dodos in a museum panorama

The extinct dodo is a giant relative of the pigeon

The extinct dodo is a giant relative of the pigeon

Illustration of a monkey on a branch and many different plants and flowers

An innovative approach has also been developed to understand how and why same-sex behaviour is so common across the animal kingdom.

In the past homosexual behaviour was thought to be a ‘Darwinian paradox’ because it involved sexual behaviour that was non-reproductive. However recent evidence suggests that homosexual behaviour could play important roles in reproduction and evolution.

Trees of life

There can be great variation in the size of leaves – between the large leaves often seen in tropical rainforests, for example, and the needles of trees found in the far north. It has long been thought that leaf size is determined by the need to keep cool, but Silwood research has shown that preventing extreme cold at night is the deciding factor.

Devastation caused by logging and farming was highlighted in a research collaboration with Oregon scientists showing that tropical species are six more times more sensitive to forests being broken up for logging and farming than those in temperate climes.

Tropical forests are at increasing danger from human activities. The expansion of roads and agriculture in the tropics can drive species extinction even when overall forest cover levels are maintained.
Dr Cristina Banks-Leite, Department of Life Sciences at Silwood Park
A sunbear, photographed lounging on a bug branch

Sunbear – one of the tropical mammal species found to be negatively affected by forest edge in Malaysian Borneo. Credit: Matt Betts

Sunbear – one of the tropical mammal species found to be negatively affected by forest edge in Malaysian Borneo. Credit: Matt Betts

Indeed, not only are local species affected by this land-use but there are serious knock-on effects for the functioning of the ecosystem – research in Borneo shows how deforestation and logging disruptively reconfigures local ecosystems by affecting the food chain length. However, despite these threats, there is evidence that some plants and animals disturbed by logging can bounce back from this kind of disturbance.

A canopy of bright green leaves in the rainforest

The ground on which we walk

Some Silwood scientists are also key members of the global Ecological Fractal Network, which focuses on understanding how to restore landscapes by collecting data on both biodiversity and the people who interact with it.

Super soil: from the tundra to the tropics

Even though it’s beneath everybody’s feet and we don’t think about it too much, I think that soil is one of the last great undiscovered frontiers.
Dr Bonnie Waring, Silwood Park and the Grantham Institute for Climate Change and the Environment

The Waring lab travels all over the world to study the soil-plant carbon cycle and its feedbacks to global change. This work includes tree-planting experiments in Mexico and Wales exploring the ways in which trees can help to restore ecosystems and sequester carbon.

Photo of a landscape of soil, with mountains in the very distance and a blue sky, by Zbynek Burival on Unsplash
Close-u photo of soil in a landscape. Photo by Bruno Pereira on Unsplash

Looking to the future

A child smiles as he holds an owl in his gloved hand - part of Bugs, Birds and Beasts Day, an annual engagement event hosted by Silwood

Ever-evolving

Research is becoming increasingly interdisciplinary, and younger fields such as genomics are evolving.

As the biodiversity crisis intensifies, and scientific developments augment our understanding, characterisation and application of the biological sciences, what’s on the horizon at Silwood?

The Georgina Mace Centre for the Living Planet

Launched in autumn 2021, the Georgina Mace Centre (GMC) aims to become an international hub focused on fostering connections – not only between leaders in the natural and social sciences, engineering and economics, but also with policy makers and others – to work on integrated research programmes that have real impacts on conservation and the environment. Professors Vincent Savolainen and Matthew Fisher are its Co-Directors.

Based at Silwood Park, but with members from across Imperial, the UK and the world, the GMC brings together myriad expertise to tackle some of humanity’s most threatening environmental challenges.

The Centre is named after renowned ecologist and conservation biologist Professor Dame Georgina Mace FRS, who was responsible for shaping the International Union for Conservation of Nature (IUCN) Red List, a global inventory of species threatened with extinction. Georgina was also Professor of Conservation Science and Director of the Natural Environment Research Council (NERC) Centre for Population Biology at Silwood Park from 2006-2012.

Sharing perspectives

A key tenet of the GMC is to bring diverse perspectives and expertise together around biodiversity, which was the focus of this year's debate (part of the broader Diamond anniversary Silwood celebrations). The panel comprised academics, policymakers, and professions that bridge the two, and is available to watch:

Close-up photo of a green insect between tweezers, being studied
Georgina was an incredibly gifted and prolific scientist [and] a trailblazer in ecology and conservation for many decades. Beyond her transformative impact on science and academia in general, she also had a huge influence on environmental policy and how our research is translated in the real world.
Professor Guy Woodward, Deputy Head of Life Sciences (Silwood Park)
Professor Georgina Mace, in front of a sign for the Centre for Population Biology
Professor Mace told me a story once, that’s lived with me: "As I stepped out to come here this morning there was a thrush in the bay tree outside my front door. It was singing, so I just stopped and listened, and it was incredible. In that moment, I didn’t care about the biodiversity, I just cared about the beauty of the thrush, and for many people that is what nature is about. It’s a privilege to study it, to understand it, and to try and protect it – we value our biodiversity in ways that are deep seated and human."
Professor Gideon Henderson, DEFRA Chief Scientific Adviser

Leverhulme Centre for the
Holobiont

‘Holobiont’ is a term given to a larger organism, such as a human, animal or plant, and its associated community of microbes.

Many of these microbial communities, often called ‘microbiomes’, are relied upon by the host organism: for example the ‘good bacteria’ that live in our guts and keep us healthy, or those that detoxify pollutants in the environment.

Better understanding of holobionts could help avert declines in biodiversity and even aid with bioengineering ecosystems so they recover faster from human perturbations.

With this in mind, Silwood will become the HQ for a new £10m Leverhulme Centre for the Holobiont this year, with Professor Thomas Bell as Director. The Centre aims to map the associations between microbes and higher organisms and create a new holobiont ‘Tree of Life’.

Coral under the sea with many little orange fish swimming around it. Photo by Francesco Ungaro on Unsplash

It's been a fascinating journey so far...

We'd love you to get involved in our 2022 Diamond anniversary celebrations!

Join us on this ever-evolving journey to understand, celebrate and protect the invaluable natural world around us: it's truly awe-inspiring, and we really can't live without it.

Beautiful collage illustration of diverse birds and flowers on a bright blue background